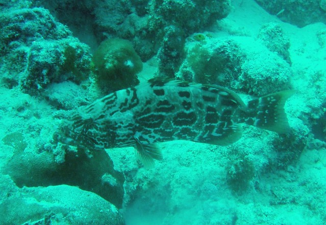
Black Grouper


(full size) 
This appears to be a Black Grouper. Photo by Rod 17 Feb 06 in about 30 feet water.
Location was The Benwood Wreck, Key Largo.

Mycteroperca bonaci

Thin pale to yellow margin on pectoral fins; Ends of rectangular blotches on upper body are nearly square;

I reduced picture size so they would be visible on your screen. Just click on thumbnail for 6 x 4 picture, and name for 10 x 8 full size picture or more info. First 2 pictures are from  The Benwood Wreck, Key Largo.

           
   grouper08.jpg                                         grouper03.jpg                                           caryf014.jpg


Size: 1.5-3 feet; max 4 feet;
Depth: 20-100 feet;
Audubon Field Guide; page 450; plate 166;
Reef Fish ID 3rd ed; page 162-163 plate 162-163;
caryf014.jpg was taken at Carysfort Lighthouse on 03/31/04....

Black Grouper
Black Grouper at Banana Reef 02/23/07..................ROD


Rod Bigelow
Box 13  Chazy Lake
Dannemora, N.Y. 12929
< rodbigelow@netzero.net > 

BACK TO FISH PAGE

BACK TO BIGELOW HOME PAGE